Prima pagină » Iasi in fiecare pagina » Imagini spectaculoase din cosmos: Fulgerele uraganului Milton surprinse în direct

Imagini spectaculoase din cosmos: Fulgerele uraganului Milton surprinse în direct

by Salut Iasi

Evacuări masive în Florida

În urma prognozelor alarmante privind impactul devastator al uraganului Milton, autoritățile din Florida au impus evacuări obligatorii pentru 5,9 milioane de oameni. Aceasta constituie cea mai extinsă operațiune de evacuare din istoria statului. Cetățenii au fost avertizați să-și părăsească locuințele pentru a-și asigura siguranța în fața uraganului care se îndreaptă spre coastă.

Avertizări de la Centrul Național pentru Uragane

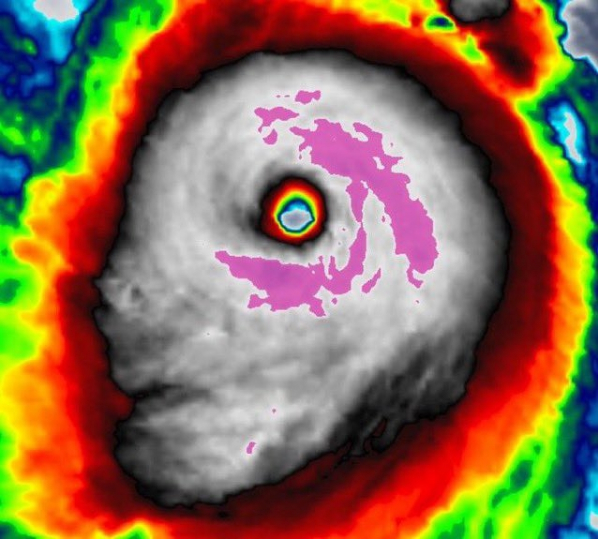
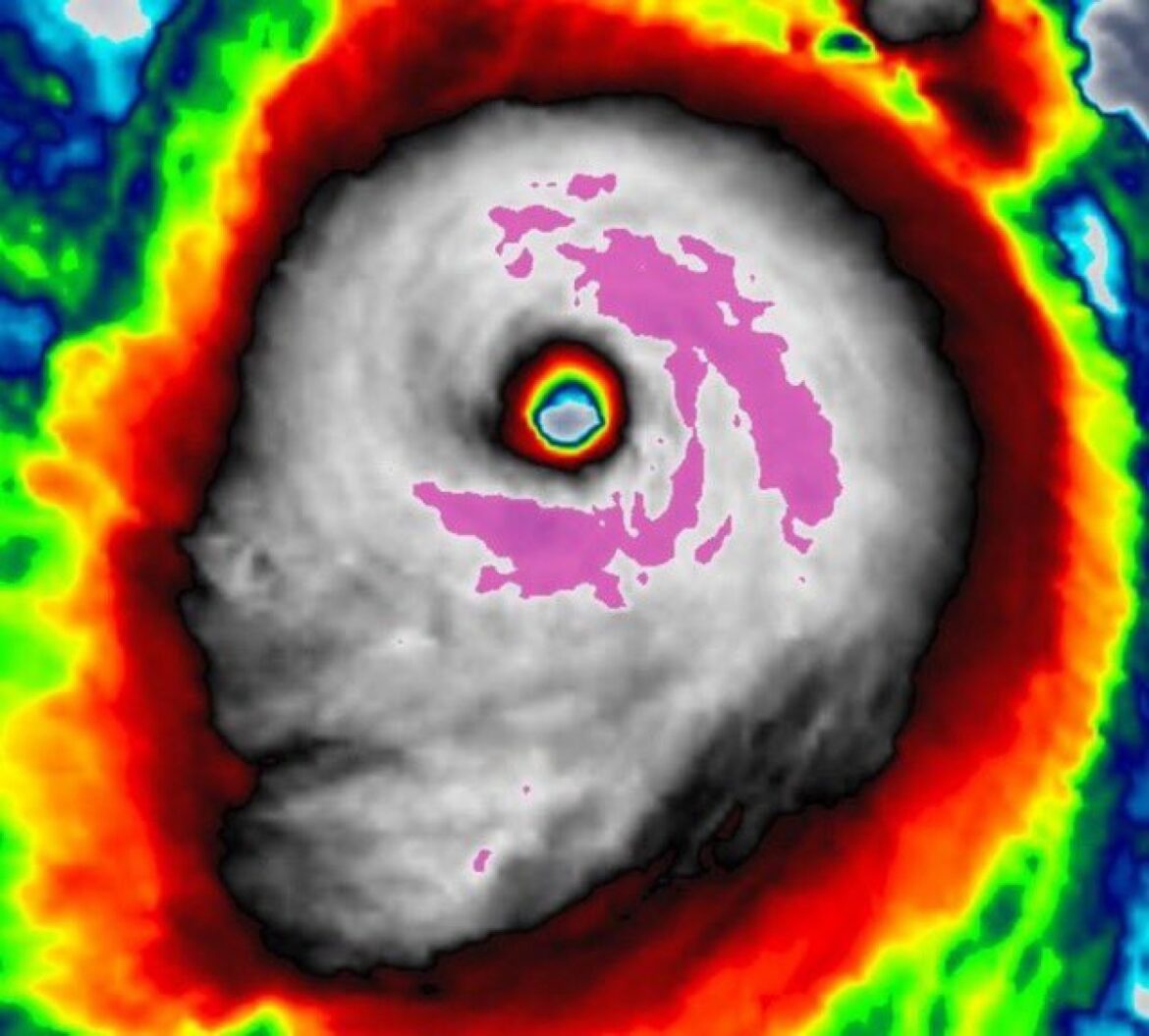
Centrul Național pentru Uragane a emis un avertisment sever, subliniind că uraganul Milton va atinge țărmul ca un „fenomen major, extrem de periculos”, cu rafale de vânt ce pot atinge până la 145 mph (233 km/h). Clasificat în categoria a cincea pe scara Saffir-Simpson, uraganul prezintă o amenințare semnificativă pentru comunitățile din calea sa.

Impactul devastator al uraganului Milton

Uraganul Milton a lovit Florida joi, provocând distrugeri semnificative. Peste 2,5 milioane de locuințe au rămas fără energie electrică, iar inundațiile au afectat multe zone, arată informațiile oferite de AFP. Acest eveniment natural survine la două săptămâni după trecerea distrugătoare a uraganului Helene, amplificând astfel dificultățile întâmpinate de locuitori.

Fenomenul „storm surge” și riscurile de inundații

Meteorologii subliniază că, pe lângă ploi torențiale, inundații rapide și vânturi puternice, uraganul Milton va cauza un fenomen denumit „storm surge”, ce implică deplasarea apei de pe coastă spre interior. Această situație creează un risc crescut de inundații, în special în regiunile apropiate de țărm. Miercuri seară, vânturile violente au început să împingă apa din Tampa Bay, sporind îngrijorările pentru locuitorii din zonă.

Influența direcției uraganului asupra Tampa Bay

Modul în care uraganul Milton va atinge țărmul Golfului Floridei are implicații directe asupra riscurilor de inundații severe în Tampa Bay. Specialiștii avertizează că, în cazul în care Milton va ajunge pe uscat în zonele sudice ale Tampa, regiunea ar putea experimenta un fenomen rar de valuri inverse cauzate de furtună. Acest aspect ar putea intensifica severitatea inundațiilor și ar crea provocări suplimentare pentru populație.

Măsuri de protecție pentru comunități

În fața amenințării uraganului, autoritățile iau măsuri urgente pentru protejarea comunităților. Centrele de adăpost sunt pregătite să primească persoanele evacuate, iar serviciile de urgență sunt mobilizate pentru a răspunde rapid situațiilor de criză. Este imperativ ca toți cetățenii să urmeze indicațiile oficiale și să se îndrepte spre locuri în siguranță.

Reacțiile comunității și pregătirile pentru uragan

Comunitățile afectate de uraganul Milton au început să se mobilizeze, întâmpinând cu seriozitate avertizările autorităților. Locuitorii își strâng bunurile esențiale și se asigură că sunt pregătiți pentru eventuale zile fără electricitate sau acces la servicii. Această reacție rapidă subliniază importanța pregătirii în fața dezastrelor naturale.

Provocări în urma uraganului Helene

Uraganul Milton vine într-un moment deja delicat pentru zona afectată, care încă se recuperează după devastările provocate de uraganul Helene. Aceste evenimente repetate amplifică dificultățile pentru autorități și necesitatea de a răspunde eficient la nevoile comunităților. Situația de urgență impusă de Milton va complica și mai mult procesul de recuperare.

Atenționări continue din partea meteorologilor

Meteorologii continuă să emită avertizări cu privire la opțiunile de evacuare și la riscurile imediate asociate uraganului Milton. Informarea constantă a populației este esențială pentru a asigura siguranța celor expuși pericolelor. Experții îndeamnă cetățenii să se informeze despre evoluția vremii și să acționeze prompt.

Peisajul post-uragan

După trecerea uraganului, va fi esențial să se evalueze daunele produse și să se ia măsuri de recuperare. Autoritățile vor trebui să colaboreze eficient pentru a sprijini comunitățile în refacerea infrastructurii afectate și în asigurarea necesităților de bază pentru toți locuitorii. Pregătirile pentru viitoare evenimente severe vor trebui să devină o prioritate pe termen lung.

Ar putea să vă placă și

Lasă un comentariu